每日一动物:中华蛩蠊zhōng huá qióng lián
每日一动物:中华蛩蠊zhōng huá qióng lián

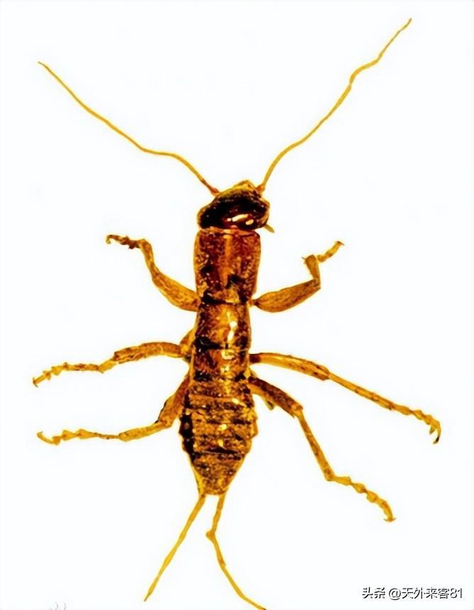
中华蛩蠊-蛩蠊科蛩蠊属动物

【动物简介】:
中华蛩蠊(学名:Galloisiana sinensis)是蛩蠊科、蛩蠊属昆虫。体长形,长约10毫米,头宽3毫米。无翅,触角长,丝状,复眼退化,无单眼,口器咀嚼式;3对足步行式,跗节5节;雌虫有发达的刀剑状产卵器,雄性外生殖器不对称。背面和头部棕黄色,较暗;腹面、足、触角琥珀色,较淡。体表被细毛,腹部两侧和足着生稀疏深棕色刺状毛。头宽大,中央有个模糊的黑斑。
中华蛩蠊主要栖息在中国吉林长白山海拔2000米处的地方,其栖息环境附近多湖沼、融雪以及水流湿处,海拔较高,气候冷湿。成虫、若虫多栖息在山顶滑坡碎土石间、木头下,以及雪地、冰洞和其它洞穴中。主要食物为植物(苔藓)和小虫,活动时间在夜晚,主要靠爬行,行动敏捷。

【物种学史】:
蛩蠊目是昆虫纲中的一个小目,共1科3属27种和亚种,分布于北美(加拿大、美国)西部的落基山脉及其以西地区以及日本、南朝鲜、西伯利亚东部滨海地区和我国吉林长白山区。该目昆虫地位古老,具有直翅类的许多原始性特征并兼有襀翅目、纺足目及缨尾目的某些特征,是一个古老的原始直翅类的综合成员,与古昆虫中的原直翅目十分接近,是唯一的古老残遗类群,堪称为昆虫纲中的活化石。蛩蠊目昆虫对探讨昆虫纲的起源、演化及其与地史演变的关系具有十分重要的意义。长期以来蛩蠊目昆虫在中国一直没有发现,成为中国唯一没有被发现的昆虫目。
1986年8月28日,中国科学院动物研究所的部分昆虫学工作者在中国东北第一高峰——长白山区进行科学考察,当在滑坡碎石间俯身向上攀登时,发现眼前有一形似黄蚂蚁的昆虫在爬行,立即采到手中,这是在中国国土上发现的第一个蛩蠊(后命名为中华蛩蠊)标本。这个唯一的一头雄性标本带回北京后,经研究鉴定,与产自日本的日本蛩蠊(Galloisiana nippo-nensis)非常近似,但有明显区别,特别是前胸背板后缘不向后拱弧,而中央向内明显凹进等特征,是世界上尚未描述过的新种。因为它是中国的第一个蛩蠊目昆虫种, 故命名为中华蛩蠊。中华蛩蠊于1987年正式发表,从此填补了中国蛩蠊目昆虫的空白。
白明、宋克清等4人于2012年再次获得该种4头标本,证实该种种群仍然维持。

【形态特征】:

中华蛩蠊体长形,长约10毫米,头宽3毫米。背面和头部棕黄色,较暗,腹面、足、触角晓瑰色,较淡。体表被细毛,腹部两侧和足着生稀疏深棕色刺状毛。头宽大,复眼黑色,且略狭,复眼下方有2根刺状毛。唇基倒梯形,上唇略半圆形,下颚内颚叶基部着生一排刷状长毛,前端具2个小齿状突起。下颚须5节,第3节为1、2两节长度之和,约与第4节等长,第5节略长,顶端尖。触角丝状,34节,基部节较粗而短,向端部渐变细长,第一节最粗,第2节短,第3节约为第2节长的2-2.5倍,第4个节领,自第10节起逐渐变长。前胸背板长略胜于阔,前端较阔,后缘中部明显向内四进,中胸背板中长略短于后缘宽度,基部显较前胸背板后缘为窄。
后胸背板阔约为其中长的1.7倍。腹部背板10节,密生深棕色绒毛,中部数节较阔,各节后角,有时包括后缘着生1或2根暗棕色刷状毛,末节(肛上板)端缘呈钝三角形,中央延伸成一向下弯曲的锥状体。尾须9节,基部两节很短。前足腿节粗短,长约为其中部最宽处的3倍,背面着生2行刺状毛,每行3-4根,外侧面光,内侧面有一些短毛,腹面内沿着生一排刺状毛,约15-18根,多数集中在端半部;胜节略短于腿节,腹面具2行刺状毛,每行4-5根,端末有2距,附节5节,背面观14节呈三角形,第5节长卵形,爪单齿。中足腿节显较前足为细,各侧面着生刺状毛;腔节约与腿节等长,各侧面具刺状毛,端距2根,附节同前足,后足腿节显较前、中足细长,背面具刺状毛2行,内侧面1行,腹面内沿10-12根,外沿7书根,胶节长于腿儿跑节,明显长于前、中足附节。
【栖息环境】:
中华蛩蠊主要栖息在海拔2000米处的地方,其栖息环境附近多湖沼、融雪以及水流湿处,海拔较高,气候冷湿;成虫、若虫栖息在山顶滑坡碎土石间、木头下,以及雪地、冰洞和其它洞穴中。
中华蛩蠊的采集地点处于岳桦林带上线,上接山地苔原植被带,生长有蒿、景天、棘豆、风毛菊、龙胆、马先篙、高草及苔藓、地衣等多种高山植被当地年均温在0℃ 以下,冬季积雪时间长达230天以上。

【生活习性】:
中华蛩蠊是一种杂食性昆虫,主要食物为植物(苔藓)和小虫。中华蛩蠊的活动时间在夜晚,主要活动方式为爬行,行动敏捷。
【分布范围】:
中华蛩蠊仅分布在中国吉林长白山(约在北纬42°,东经128°)。
【繁殖方式】:
中华蛩蠊为卵生成长,因为成虫无翅,所以变态显得不明显。雌虫一次产1枚卵,卵黑色,选择的产卵地多在土壤中、石块下或者是苔藓里。卵期约1年化为若虫,约5-7年才能完成1世代。

【保护现状】:
保护级别:1988年,中华蛩蠊被列为国家一级保护动物。
列入《中国国家重点保护野生动物名录》一级。
濒危原因:造成中华蛩蠊濒危的原因主要有两方面,一是中华蛩蠊的分布区过于狭小,仅在中国长白山海拔2000米的地方有生存;另一方面是因为人类活动对中华蛩蠊的栖息地造成了破坏。
保护建议:建议加强野外调查,开展种的种群数量、分布范围、寄主及其生物与生态学规律等方面的调查与研究,在已记录的分布地区设立自然保护区,加强对栖息地生境的保护与管理。
【主要价值】:
中华蛩蠊是蛩蠊目昆虫在中国的代表种,是极稀有的昆虫种类,它对蛩蠊目昆虫系统发育及历史生物地理学的研究具有重要意义。


-
- 央视“国脸”欧阳夏丹!消失3年,已经走上了另一条人生大道了!
-
2024-08-30 01:33:41
-
- 思念到深夜难寐的文案短句
-
2024-08-30 01:31:26
-
- 开国中将王紫峰:67年为何对彭老总动粗?88年获一级红星勋章
-
2024-08-30 01:29:11
-
- 风华绝代何超琼、年轻时倾心万人、中年气质更是惊艳全场!
-
2024-08-30 01:26:56
-
- 春兰空调覆灭史:曾经连续8年销冠,年利润6亿,后面靠卖房续命?
-
2024-08-30 01:24:42
-
- 行政执法类人员改革,公务员、参公、事业人员改革方向
-
2024-08-30 01:22:27
-
- 民政大病救助报销比例及标准
-
2024-08-30 01:20:12
-
- 身为解放战争2号战犯,代总统李宗仁为何选择回国?只因3件事
-
2024-08-29 16:34:22
-
- 终于等到你,闽南古镇!
-
2024-08-29 16:32:08
-
- 来看看自杀后的世界
-
2024-08-29 16:29:53
-
- 法外狂徒张子强-覆灭全纪录
-
2024-08-29 16:27:38
-
- 点融网靠谱吗?投友告诉你
-
2024-08-29 16:25:23
-
- 创业天下平台介绍
-
2024-08-29 16:23:08
-
- 故事:大嫂约她明天一起去镇上,她洗澡孩子回避,孩子发现她识字
-
2024-08-29 16:20:53
-
- 云南变态食人魔7年残害17人,分尸腌制当肉卖,顾客都说好吃
-
2024-08-29 16:18:38
-
- 女博士闫红微去逝一年后,丈夫官宣爱情,该祝福还是指责?
-
2024-08-29 16:16:24
-
- 什么是红蓝对抗演练
-
2024-08-29 16:14:09
-
- 炉石传说:sol君宣布退出直播圈,王也退环境了
-
2024-08-28 16:57:00
-
- 湖南省怀化市简介
-
2024-08-28 16:54:46
-
- 还记得《快乐星球》里的欧阳老师吗?她就是小包总真正的老婆!
-
2024-08-28 16:52:31



广东最美警花王菲,与86名高官发生过关系,疯狂敛财上亿元!
男子和三个美女自愿开房并发生性关系,是否构成聚众淫乱罪?